※印の項目は必須項目です。
土地一覧に戻る
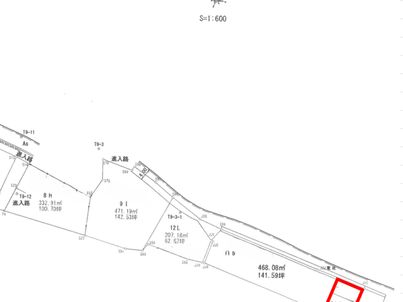
松山市畑寺町 貸土地 4万円 印刷する
情報登録日:2025/11/18 次回更新予定日: 2025/11/10
- 賃料
-
4万円
| 種別 | 土地 | ||
|---|---|---|---|
| 所在地 | 愛媛県松山市畑寺町 | ||
| 交通 | バス 徒歩15分(東野) | ||
| 敷金 | 3ヶ月 | ||
| 敷引 | 50% | ||
| 土地面積 | 90.58m²(約27.4坪) | ||
| 土地面積計測方式 | 実測 | ||
| 現況 | 更地 | ||
| 引渡 | 即時 | ||
| 土地権利 | 所有権 | ||
| 都市計画 | 市街化調整区域 | ||
| 接道状況 | 一方 | ||
| 接道 | 東 公道 幅員3m | ||
| 地目 | 山林 | ||
| 地勢 | 平坦 | ||
| 取引態様 | 貸主 | ||
| 物件番号 | 13023 | ||
| 物件資料 (ダウンロード) |
|||
Loading...
- ■設備・条件など
